—‰Θ‹³ήƒf[ƒ^ƒx[ƒXb ©’ސ}ŠΣETOPb ƒ`ƒ‡ƒEEƒK‚Μ’‡ŠΤ
Šς•Œ‘εŠw‹³ˆηŠw•”—‰Θ‹³ˆηuΐi’nŠwj
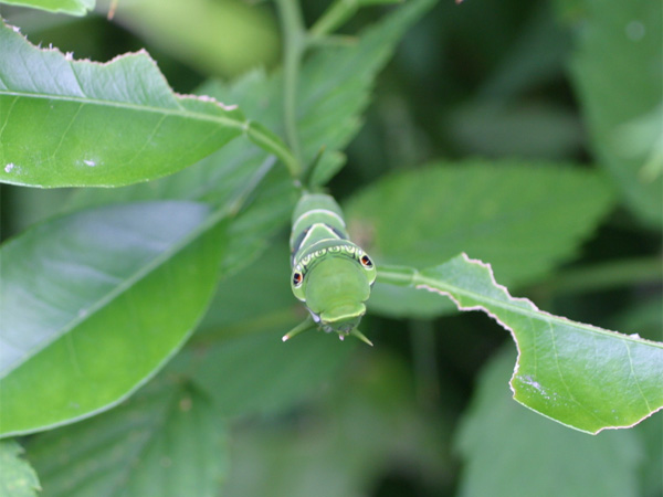
ƒ`ƒ‡ƒE‚Μ’‡ŠΤ


ƒAƒQƒnƒ`ƒ‡ƒE

2003”N6ŒŽ12“ϊŽB‰e